4383 Huronia Road Orillia, Ontario L3V 0G7

$299,000

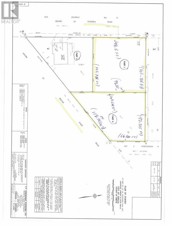
An Ideal Building Lot Nestled in the Sought-After Northward Orillia This Parcel Offers the Flexibility for a Single-Family Residence or a Two or three unit Dwelling. The sloped lot is perfect for a walkout basement. Municipal Water and Sewer Services newly installed & hydro and gas are available. This great location offers easy access to highway, Public Transit, Schools and it is only steps away to the trail system. think sledding on the trans canada trail or a bike down the paved Millennium trail to Orillia's downtown shopping and waterfront activities. This Property Combines Accessibility With a Tranquil Setting. Embrace the Opportunity to Create Your Dream Home or Investment Property. Big savings on up front cost as lot was recently severed and site plans, surveys, are on file with he city already. (id:46421)

Property Details

MLS® Number 40673942
Property Type Vacant Land
Amenities Near By Beach, Marina, Public Transit, Schools
Communication Type Fiber
Features Country Residential

Building

Basement Type None
Utility Water Municipal Water

Land

Access Type Road Access, Highway Access
Acreage No
Land Amenities Beach, Marina, Public Transit, Schools
Sewer Municipal Sewage System
Size Depth 100 Ft
Size Frontage 98 Ft
Size Total Text Under 1/2 Acre
Zoning Description R1-14

Utilities

Cable Available
Natural Gas Available
Telephone Available

https://www.realtor.ca/real-estate/27622104/4383-huronia-road-orillia

Contact Us

Contact us for more information


Generating Captcha

Your Favourites

 

No Favourites Found