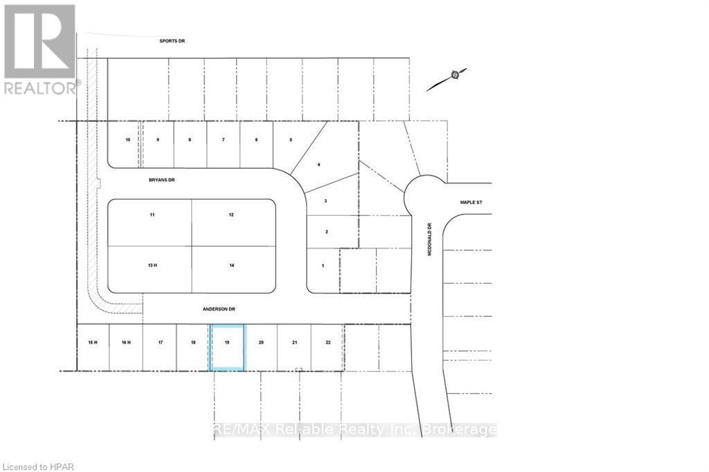
777&779 Anderson Drive Huron East, Ontario N0G 1H0

$169,900

Here's your opportunity to build in the quiet town of Brussels. Fully serviced lot located in a new development close to the arena and not far from public pool, ball diamond and the downtown area. Services available at the lot line Gas, Hydro, Fibre internet, Municipal water and sewers. *Due to recent zoning by-law update, Semis may be permitted on lots with a minimum 20 M Lot Frontage (10M per semi side) with a minimum area of 540 Sq M (270 Sq M per side) provided the zoning requirements are met. Non Mirror Design (example attached) Council will need to approve the proposed design. (id:46421)

Property Details

MLS® Number X10781980
Property Type Vacant Land
Community Name Brussels
Features Flat Site

Building

Utility Water Municipal Water

Land

Acreage No
Sewer Sanitary Sewer
Size Depth 100 Ft
Size Frontage 66 Ft ,2 In
Size Irregular 66.2 X 100 Ft
Size Total Text 66.2 X 100 Ft|under 1/2 Acre
Zoning Description R1

Utilities

Cable Available
Wireless Available
Sewer Available

https://www.realtor.ca/real-estate/27716619/777779-anderson-drive-huron-east-brussels-brussels

Contact Us

Contact us for more information


Generating Captcha

Your Favourites

 

No Favourites Found